Casa Lo más recienteHuracán “Erick” evoluciona a categoría 3

Huracán “Erick” evoluciona a categoría 3

por Redacción
0 comentarios
A+Un-
Reset

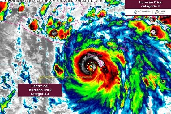
Ciudad de México.- El Servicio Meteorológico Nacional informa que el huracán Erick evolucionó esta tarde a categoría 3 y continúa intensificándose.

“Ya es un peligroso huracán mayor con categoría 3 y continuará intensificándose mientras se dirige a la costa de Oaxaca y los límites con Guerrero”, se destaca en la cuenta oficial del Servicio Meteorológico Nacional #SMNmx, perteneciente a la Comisión Nacional del Agua.

La presidenta de México, Claudia Sheinbaum, utilizó sus redes sociales para informar que el huracán “Erick” tocará tierra en las costas de Oaxaca y Guerrero, las primeras horas de este jueves.

Pidió a la población de estos estados permanecer en sus hogares, mientras que a los que se encuentran situados en zonas bajas y cerca de causes los instó a acudir a un refugio.

Resaltó que las clases fueron suspendidas en todos los niveles educativos y recordó que ya está en marcha el Plan DN-III y Marina.

También te puede gustar

DEJA UN COMENTARIO

* Al utilizar este formulario usted acepta el almacenamiento y manejo de sus datos por parte de este sitio web.